Capannone in vendita

Monza, Via Silvio Pellico
€ 245.000
2 locali 2 locali
250 Mq 250 Mq
2 bagni 2 bagni

Capannone in vendita

Monza, Via Silvio Pellico

Descrizione annuncio

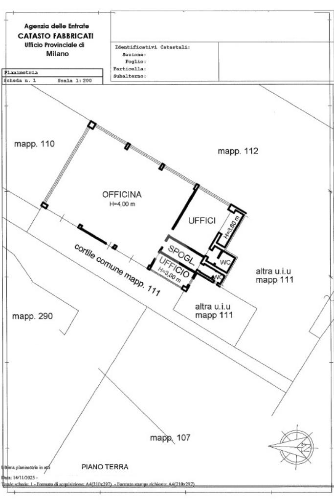
Monza – Via Silvio Pellico Capannone artigianale D/1

In posizione strategica a Monza, in via Silvio Pellico, zona comoda e ben collegata alle principali arterie cittadine come viale Bonarroti, proponiamo capannone artigianale ad uso laboratorio/officina.

L’immobile si sviluppa interamente al piano terra, su pianta regolare e unico livello, per una superficie di circa 250 mq, risultando funzionale e facilmente adattabile a diverse attività artigianali o produttive.

La proprietà è in ordine e ben mantenuta, dotata di impiantistica funzionante, copertura in buono stato e rete elettrica efficiente. Completa la soluzione la presenza di uffici interni e doppi servizi.

L’accesso carraio è agevolato da portone con altezza di circa 3,70 m e larghezza di circa 3 m, ideale per carico/scarico e movimentazione di mezzi.

Altezza interna sotto solaio mt 4. Struttura in metallo con rivestimento interno.

Locale artigianale riscaldato mediante robur a metano. Condizionatori nella zona uffici.

Categoria catastale D/1.

Libero subito.

Mostra tutto

Nelle vicinanze

Trasporto pubblico Trasporto pubblico
Monza
Monza
1,1 Km
Foscolo - Pindemonte
Foscolo - Pindemonte
180 m
Z321 - MONZA, Via Ferrari altezza 36 (sede INAIL)
Z321 - MONZA, Via Ferrari altezza 36 (sede INAIL)
290 m
Monza Sobborghi
Monza Sobborghi
720 m
Ricariche auto elettriche Ricariche auto elettriche
Eurospin Monza Stucchi
1,7 Km
U2 Supermercato Monza Via Marsala | ENELX
2,0 Km
Penny Market
2,0 Km
Concessionario Nissan Renord
2,2 Km
Iper Monza
2,3 Km
Scuole Scuole
Scuola Secondaria di Primo Grado Statale Bellani
220 m
Scuola Primaria Citterio
380 m
Scuola Primaria Michelangelo Buonarroti
690 m
Essence Academy
790 m
Isabel Vegas Academy
870 m
Farmacia Farmacia
Farmacia Basaglia
350 m
Farmacia Americana
420 m
Parafarmacia Tutto Salute
570 m
Farmacia Comunale n. 9
680 m
Farmacia Cederna
940 m
Ospedali Ospedali
Policlinico di Monza
1,2 Km
Istituti Clinici Zucchi
1,7 Km
Supermercati Supermercati
TuoDì
300 m
Esselunga Monza Via Buonarroti
400 m
Lidl
540 m
EuroSpin
690 m
U2
830 m
Negozi Negozi
Euroverde Bio
170 m
Forno Moderno
480 m
Pane e Amore
520 m
Okeoghene
520 m
La Bottega del Gusto
650 m
Bar Bar
Qualunquemente
900 m
Joist
920 m
Turnè
990 m
Papilla Monza
1,0 Km
Miles Cafe
1,1 Km
Ristoranti Ristoranti
Don Nippon Taste
240 m
Al Bue Goloso
290 m
Ristorante Pizzeria Da Franco
440 m
Il Segreto
510 m
Trattoria Canon d'Oro
520 m
Mostra tutto

Caratteristiche

Rif.:
61173439
Piano:
1 di 1 (Piano terra)
Posti auto:
2
Condizionamento:
Autonomo
Ascensore:
No
Riscaldamento:
Autonomo
Mostra tutto
Prezzo Prezzo
€ 245.000
Rata mutuo Rata mutuo
€ 1.144 / mese
Spese annue Spese annue
€ 0
Proponi il tuo prezzoProponi il tuo prezzo

Classe Energetica

G
G
G
G
G
G
G
G
G
EP invernale del fabbricato:
EP estiva del fabbricato:
Anno di costruzione:
1970
Riscaldamento:
Autonomo
Tipo impianto:
Ad aria
Tipo alimentazione:
Metano

Ti interessa visionare l'immobile?

Fissa un appuntamento  Fissa un appuntamento

Richiedi informazioni

Clicca su Leggi per aprire l'informativa
* Questi campi sono obbligatori

Calcola il tuo mutuo

Semplice e senza impegno
Anticipo

( % )
Mutuo

( % )

pochi semplici passi

inserisci i tuoi dati
Questionario completato
Grazie per aver richiesto un appuntamento senza impegno con un nostro Consulente del Credito e Assicurativo.

Hai inserito correttamente tutti i dati necessari e a breve riceverai una e-mail con un link da convalidare per inviare i tuoi dati.
Affiliato
Studio Perillo Srl
Via Locatelli, 24 20834 Nova Milanese (MB)

Il nostro staff


  • Noureddine Abouhafs
    Collaboratore

  • Leyslany Isabel Cardona Montana
    Collaboratrice

  • Noah Roberto Di Giambattista
    Collaboratore

  • Edy Gobbi
    Coordinatrice

  • Alessia Giannì
    Collaboratrice

  • Afra Thalia Lopez
    Collaboratrice

  • Roberta Perillo
    Collaboratrice

  • Nicolò Pasquali
    Collaboratore

  • Giorgia Trizio
    Collaboratrice

  • Nicola Perillo
    Affiliato
Via Locatelli, 24 20834 Nova Milanese (MB)
Zona: Nova Milanese-Lissone- Desio-Macherio- Biassono- Sovico- Albiate
Mostra su mappa
Orari: Dal lunedì al venerdì dalle 09:00 alle 12:30 e dalle 14:00 alle 19:00 -Sabato dalle 09.00 alle 12.30
Affiliato
Studio Perillo Srl
Via Locatelli, 24 20834 Nova Milanese (MB)

2026 Tecnocasa Franchising S.p.A. - P. IVA 08365160152 - Via Monte Bianco 60/A 20089 Rozzano (MI). Ogni agenzia ha un proprio titolare ed è autonoma. Privacy policy | Policy utilizzo | Cookie policy